Stand: 23.09.2025 12:11 Uhr

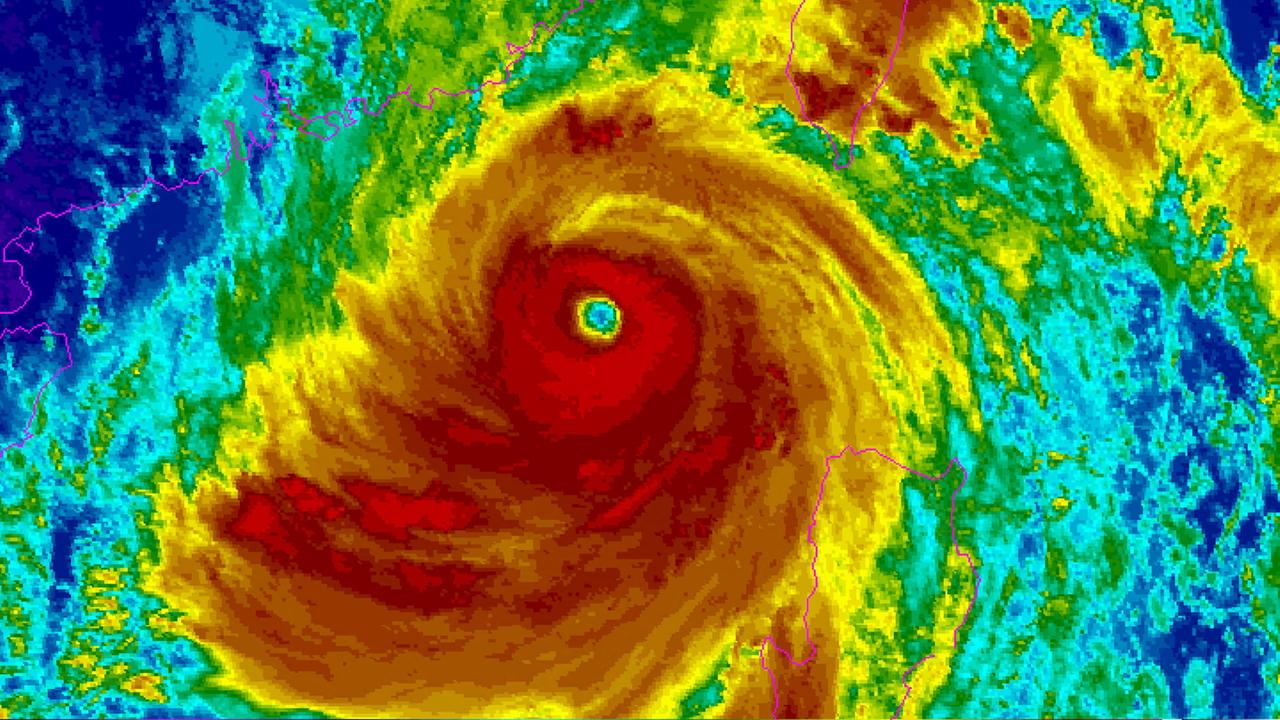
Auf den Philippinen hat er bereits für Zerstörung gesorgt, nun bewegt sich Super-Taifun „Ragasa“ in Richtung Südchina. Die Behörden warnen die Menschen davor, das Haus zu verlassen. Hunderte Flüge fallen aus.

In Südchina bereiten sich die Menschen auf Super-Taifun „Ragasa“ vor. Der trifft laut Prognosen der chinesischen Wetterbehörde am Mittwoch auf Land und führt zu Windgeschwindigkeiten von mehr als 200 Kilometern pro Stunde. Die Behörden der Provinzen Fujian, Guangdong und Hainan riefen die höchste Taifun-Warnstufe aus.

In Guangdong, wo Menschen teils vor leeren Supermarktregalen standen, verordneten die Behörden für einige Großstädte wie Dongguan, Zhuhai und Foshan vorsichtshalber unter anderem die Einstellung des öffentlichen Nahverkehrs.

Leere Regale in einem Supermarkt in Hongkong

In mindestens zehn chinesischen Städten wurde die Schließung von Schulen und Büros angeordnet. „Mit Ausnahme von Rettungskräften und Personen, die die Grundversorgung der Bevölkerung sicherstellen, sollten Sie das Haus bitte nur verlassen, wenn es unbedingt notwendig ist“, erklärte die Katastrophenschutzbehörde der Metropole Shenzhen.

Viele Flüge werden gestrichen

Auch im Flugverkehr sorgt der Tropensturm schon für massive Störungen. Allein Hongkongs Fluglinie Cathay Pacific erwartet nach eigenen Angaben, dass insgesamt mehr als 500 Verbindungen gestrichen werden müssen. Auch andere Airlines sagten zahlreiche Flüge ab.

Der internationale Flughafen Hongkong der chinesischen Sonderverwaltungszone ist ein wichtiges Drehkreuz, insbesondere für Flüge nach Asien sowie nach Australien und Neuseeland. Er bleibt zwar während des Taifuns in Betrieb. In einer Mitteilung ist aber von „erheblichen Beeinträchtigungen des Flugbetriebs“ die Rede. Am Airport soll ein Bereich für gestrandete Passagiere eingerichtet werden.

In Hongkong werden Wassersperren errichtet.

Böen von bis zu 295 Kilometern pro Stunde

Am Montag war „Ragasa“ schon im Nordteil der Philippinen und an der Inselrepublik Taiwan vorbeigezogen. Während taiwanische Behörden bislang 25 Verletzte meldeten, hieß es von den Philippinen, dass mindestens ein Mensch getötet und 25.000 Anwohner ihre Häuser verlassen mussten.

Im Zentrum des Sturms wurden Windgeschwindigkeiten von 215 Kilometern pro Stunde mit Böen von bis zu 295 km/h gemessen.

Insgesamt wurden auf den Philippinen mehr als 40 Flüge gestrichen. In den betroffenen Gebieten blieben die Schulen und viele Regierungsgebäude weiter geschlossen. Die staatliche Wetteragentur Pagasa hatte im Vorfeld vor „lebensbedrohlichen Bedingungen“ mit meterhohen Sturmfluten und Starkregen gewarnt.

Auf den Philippinen hat der Super-Taifun für Überschwemmungen gesorgt.

Was ist ein Super-Taifun?

Zwischen Juli und Oktober wüten in der Region regelmäßig heftige Stürme. Super-Taifune gehören zu den stärksten und gefährlichsten tropischen Wirbelstürmen. Im Nordwestpazifik – Japan, China und die Philippinen – spricht man von einem Super-Taifun, wenn der Mittelwind mindestens 240 Kilometer pro Stunde erreicht. Allein die Philippinen werden jedes Jahr von durchschnittlich etwa 20 Taifunen heimgesucht.

Der Klimawandel trägt dazu bei, dass sich die Stürme immer näher an den Küsten bilden, schneller an Stärke zunehmen und länger über Land bleiben.