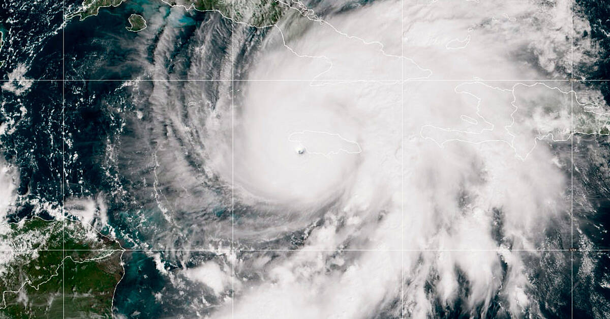
Hurricane Melissa made landfall in western Jamaica early Tuesday afternoon as a powerful Category 5 storm and the strongest ever to directly hit the Caribbean nation of 2.8 million people.

Melissa made landfall near the town of New Hope, some 62 km south of Montego Bay, packing maximum sustained winds of 185 mph (295 kph), the U.S. National Hurricane Center said in an advisory.

By 3 p.m. (1900 GMT), it had weakened slightly to 160 mph, the NHC said, but remained a Category 5 storm, the most powerful level on the Saffir-Simpson scale, which requires speeds of at least 157 mph.

The slow-moving storm is forecast to remain a powerful hurricane as it crosses the mountainous island, whose highland communities are vulnerable to landslides and flooding, and heads towards Santiago de Cuba, Cuba’s second-largest city.

The Miami-based hurricane centre warned that “total structural failure” was likely in Melissa’s path.

“The destruction could be unlike anything people in Jamaica have seen before,” said US forecaster AccuWeather’s lead hurricane expert, Alex DaSilva. “The island has never taken a direct hit from a Category 4 or a Category 5 hurricane in recorded history.”

Melissa is the third most intense hurricane observed in the Caribbean after Wilma in 2005 and Gilbert in 1988, according to AccuWeather.

Gilbert was the last major storm to directly hit the island.

Colin Bogle, a local adviser to aid group Mercy Corps in Portmore, near Jamaica’s capital, said he had heard a loud explosion in the morning, and then everything went dark. Sheltering with his grandmother, he reported hearing relentless noise and saw trees violently tossed in the wind.

“People are scared. Memories of Hurricane Gilbert run deep, and there is frustration that Jamaica continues to face the worst consequences of a climate crisis we did not cause,” he said.

“Food aid will be needed, but recovery support like seeds, tools, and repairs for vehicles will be just as critical to help people restore their livelihoods.”

Shortly before landfall, Jamaican electric utility JPS said power outages had affected more than a third of its customers. In its worst-hit parishes, some three-quarters of customers lost power, JPS said.

Local Government Minister Desmond McKenzie told reporters that nearly 6,000 people had moved into temporary shelters. The government had issued mandatory evacuation orders for some 28,000 people, but some were reluctant to leave their homes.

“We’re getting videos and pictures of severely damaged public infrastructure – hospitals, places of safety … so it is having the effect that was projected,” Jamaican Environment Minister Matthew Samuda told CNN.

“We are happy that there is some weakening but 165 miles per hour – that is still a catastrophe,” he added, noting that 70 per cent of the population lived within 5 km of the sea.

In Portland Cottage, some 150 km south-east of where Melissa made landfall, 64-year-old retiree Collin Henry McDonald told Reuters his community was seeing strong rain and winds, but his concrete roof was holding steady.

“It’s like a roaring lion. It’s mad. Really mad,” he said.

Health authorities in south-eastern Jamaica warned residents to watch out for crocodiles that could be displaced from swamps and rivers and come into residential areas in search of dry land.

Jamaica’s ‘storm of the century’

“It’s a catastrophic situation,” the World Meteorological Organisation’s tropical cyclone specialist Anne-Claire Fontan told a press briefing. “For Jamaica, it will be the storm of the century for sure.”

Storm surges of up to four metres were expected, she said, with rainfall set to exceed 70cm, causing “catastrophic flash flooding and landslides,” she said.

Nearby Haiti and the Dominican Republic have faced days of torrential downpours leading to at least four deaths, authorities said. At least three people died during storm preparations in Jamaica, local media reported.

After crossing eastern Cuba, still as a powerful storm, Melissa is forecast to head through the Bahamas, where Prime Minister Philip Davis has ordered evacuations for people in southern and eastern parts of the archipelago.

In Cuba, authorities said they had evacuated upwards of 500,000 people from areas vulnerable to winds and flooding.

“There are no half measures,” Cuban President Miguel Diaz-Canel said in a message published in state newspaper Granma, in which he urged people in areas vulnerable to flooding, strong winds, and storm surges to evacuate and accept help.

“Melissa will arrive with force, and there’s great concern about what it could destroy in its wake,” he said.

Storm intensified on approach

Melissa’s slow movement over unusually tepid Caribbean water had contributed to its ballooning size and strength, NHC forecasters said, threatening Jamaica with days of never-before-seen catastrophic winds and rain.

Melissa could bring up to 30 inches (762 mm) of rain to parts of Jamaica, and up to 12 inches to parts of the island of Hispaniola, the NHC said.

The International Federation of the Red Cross said up to 1.5 million people in Jamaica were expected to be directly affected by the storm.

“Today will be very difficult for tens of thousands, if not millions of people in Jamaica,” IFRC official Necephor Mghendi said via video link from Port of Spain in Trinidad and Tobago.

“Roofs will be tested, flood waters will rise, isolation will become a harsh reality for many.”

To enable swift relief distribution, essential items — tarpaulins, hygiene kits, blankets, and safe drinking water — had been pre-positioned in Red Cross branches on the island, he said, with over 800 shelters set up for evacuees.

‘A dire situation unfolding in slow motion’

Melissa made landfall in southwestern Jamaica, which was one of the areas worst-hit by last year’s Hurricane Beryl.

On Monday, Prime Minister Andrew Holness ordered mandatory evacuations for parts of southern Jamaica, including the historic town of Port Royal.

He warned of damage to farmlands, homes, and infrastructure on the island, which is roughly the size of Connecticut and whose main airports sit close to sea level.

“There is no infrastructure in the region that can withstand a Category 5,” he said.

Holness called on foreign support, saying the government had an emergency budget of $33 million and insurance and credit provisions for damage a little larger than that sustained from Beryl.

Beryl was the earliest and fastest Atlantic hurricane on record to reach Category 5, but scientists warn that storms are becoming stronger and faster as a result of climate change warming ocean waters.

“Slow-moving major hurricanes often go down in history as some of the deadliest and most destructive storms on record,” said AccuWeather Chief Meteorologist Jonathan Porter. “This is a dire situation unfolding in slow motion.”