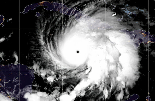
- Hurricane Melissa loses strength en route to Cuba after wreaking ‘disaster’ in Jamaica The Journal
- Jamaica wakes to no electricity and destruction after Hurricane Melissa BBC
- Live: Jamaica designated ‘disaster area’ after Melissa RTE.ie
- Hurricane Melissa live updates: hundreds of thousands evacuated as Cuba faces 120mph winds; disaster area declared in Jamaica The Guardian
- In pictures: Hurricane Melissa hits Cuba after causing chaos in Jamaica The Irish Times
