Melisa, kuri taip pat laikoma stipriausia 2025 metų audra pasaulyje, antradienio vakarą turi pasukti Kubos link, o vėliau naktį pajudėti link Bahamų salų.

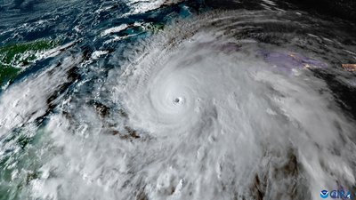
Nepaisydama gamtos įtūžio, JAV oro pajėgų įgula nepabūgo įskristi į 5-os kategorijos uragano Melisos akį.

Keletas šio skrydžio vaizdo įrašų jau pasirodė socialiniame tinkle X, ir pirmajame iš jų matyti, kaip lėktuvas „iškart po saulėtekio iš pietryčių pusės įskrenda“ į audros epicentrą.

Kitame vaizdo įraše iš 5-os kategorijos audros vidaus užfiksuota pati uragano akis ir vadinamas „stadiono efektas“ – reiškinys, kai uragano akies sienose debesys išsigaubia į išorę. Tai sukuria vaizdą, panašų į sporto stadioną.

Įgula nufilmavo dar du vaizdo įrašus, kuriuose įamžino įspūdingiausią uragano formą, kurią jis įgavo visai prieš pat, kai pasiekęs krantą virs pražūtingu gaivalu.

Uraganui artėjant prie Jamaikos, mažiausiai trys žmonės žuvo Haityje, o ketvirtas – Dominikos Respublikoje. Šioje šalyje dar vienas žmogus tebėra dingęs be žinios. Jamaika jau pranešė apie tris žuvusiuosius.

Laukdamas pačios stipriausios šių metų audros, nešančios iki 280 km/h greičio vėją, Jamaikos ministras pirmininkas Andrew Holnessas teigė, kad „melsdamasis klūpo ant kelių“.

Uraganas Melisa

Anot prognozių, sostinėje Kingstone, kur įsikūrusi visa kritiškai svarbi šios mažos šalies infrastruktūra, įskaitant tarptautinį oro uostą ir elektrines, palei kranto liniją laukiama iki 4 m aukščio audros bangų.

Daugiau nei 50 000 klientų jau yra likę be elektros. Artėjant audrai, taip pat buvo pranešta apie nuošliaužas, nuvirtusius medžius ir nutrauktas elektros linijas.