The city issued permits Dec. 11 for Life Time Inc. to build its two-level “athletic country club” at Seven Pines, the residential and commercial development at southeast Butler Boulevard and Interstate 295 in South Jacksonville, at a project cost of more than $30 million.
It will be Life Time’s first club in Northeast Florida and one of several in the state.
Life Time has 185 locations in 32 states and Canada.
Project costs are $30 million for the building at 11915 Stillwood Pines Blvd. and $50,000 for a trash enclosure. Brasfield & Gorrie LLC is the contractor.

Life Time is planned near the entrance to the Seven Pines residential and commercial development at southeast Butler Boulevard and Interstate 295.
The city issued a permit Sept. 17 for the $3 million foundation project. LTF Construction Co. LLC was the contractor.
LTF Real Estate Company Inc. of Chanhassen, Minnesota, where Life Time is based, bought the property for $8.185 million March 29, 2024, from Sawmill Timber LLC.
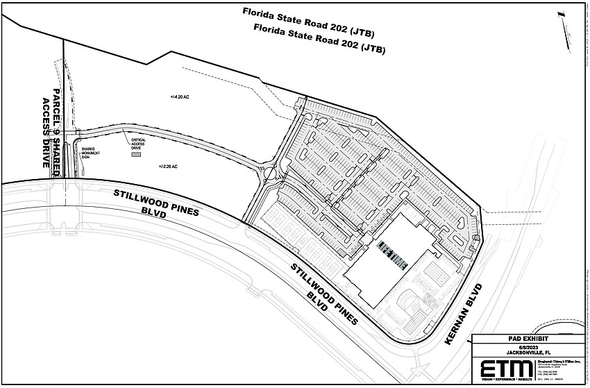
The city issued the site-clearing permit Jan. 24 for the 8.5-acre Life Time project at the entrance of Seven Pines at southwest Butler and Kernan boulevards.
“As we expand into Florida, this is an ideal location for us to bring our healthy way of life experiences to a new community,” said Parham Javaheri, Life Time executive vice president, chief property development officer and president of club operations, in an April 2024 statement provided by email.
At Seven Pines, Life Time said it plans a two-story, 85,000-square-foot location with a 50,000-square-foot outdoor beach club.
The construction permit shows a two-story, 84,000-square-foot project that includes the fitness center, food service area, bistro, pools, locker rooms, offices, retail space, a two-hour babysitting service, a Kids Academy and pickleball.

Life Time Perimeter in the Atlanta area opened in August.
Life Time, Inc.
Jacksonville-based England-Thims & Miller Inc. is the civil engineer.
The outdoor beach club will include a combined lap and leisure pool, waterslide, lesson pool, outdoor bistro and resort/lounge-style seating.
Life Time said in 2024 the amenities will include eight outdoor pickleball courts; Life Time Kids Academy for ages 3 months to 11 years old; group fitness studios; a training floor with cardio, strength-based and free weight equipment; a basketball court; and men’s and women’s locker rooms and rejuvenation suites with a warm spa, cold plunge, sauna, steam rooms and showers.
Life Time expects to hire more than 150 employees.

Life Time is shown on a site plan at Kernan and Stillwood Pines boulevards in Seven Pines.
Life Time’s lifetime.life site shows a total of about 230 locations in 32 states and Canada, including those coming by late 2026. Jacksonville is not on the list.
The seven Life Time clubs in Florida, including a Life Time Work coworking concept with workspaces and a health club, are in Boca Raton, Coral Gables, Miami, Palm Beach Gardens and Harbour Island (Tampa). Clubs are expected to open in December 2025 in West Boca and in 2026 in Lakewood Ranch and Winter Park.
Membership fees vary by location.
In Boca Raton, the signature membership starts at $329 a month.
Life Time, which is publicly traded, says its “healthy living, healthy aging, healthy entertainment communities and ecosystem serve people 90 days to 90+ years old” with more than 49,000 employees.
A Life Time investor presentation in May 2025 shows that members’ median household income is about $159,000; about 73% own their homes; 44% are under the age of 35; 77% are under age 55; 61% have at least a college education; and 59% of memberships are couples or families.